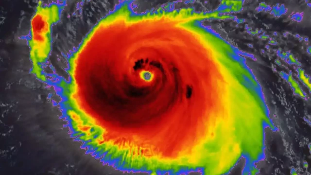
ഹിന്നനോർ; 2022ലെ ഏറ്റവും വലിയ ചുഴലിക്കൊടുങ്കാറ്റ് ശക്തി പ്രാപിക്കുന്നു
ടോക്കിയോ: 2022 ലെ ഏറ്റവും വലിയ ചുഴലിക്കൊടുങ്കാറ്റ് കിഴക്കൻ ചൈനാ കടലിൽ ശക്തി പ്രാപിക്കുകയാണ്. ജപ്പാൻ, ചൈനയുടെ കിഴക്കൻ തീരങ്ങൾ, ഫിലിപ്പീൻസ് എന്നിവയെ കാറ്റ് സാരമായി ബാധിക്കുമെന്നാണ് പ്രതീക്ഷിക്കുന്നത്. ഹിന്നനോർ എന്ന് പേരിട്ടിരിക്കുന്ന ചുഴലിക്കാറ്റിന് മണിക്കൂറിൽ 160 മൈൽ മുതൽ മണിക്കൂറിൽ 195 മൈൽ വരെ (മണിക്കൂറിൽ 257 മുതൽ 314 കിലോമീറ്റർ വരെ) വേഗത കൈവരിക്കാൻ കഴിയും. യുഎസ് ചുഴലിക്കാറ്റ് മുന്നറിയിപ്പ് വിഭാഗവും ജപ്പാൻ കാലാവസ്ഥാ വകുപ്പും ചേർന്നാണ് ഇക്കാര്യം വെളിപ്പെടുത്തിയത്.
ജപ്പാനിലെ ഒകിനാവയിൽ നിന്ന് 230 കിലോമീറ്റർ അകലെയുള്ള കാറ്റ് പ്രാദേശിക സമയം രാവിലെ 10 മണിക്ക് മണിക്കൂറിൽ 22 കിലോമീറ്റർ വേഗതയിൽ തെക്കുപടിഞ്ഞാറൻ റുക്യു ദ്വീപിലേക്ക് നീങ്ങി. 200-300 മില്ലിമീറ്റർ മഴ ലഭിക്കുമെന്ന് പ്രതീക്ഷിക്കുന്നതിനാൽ, റുക്യുവിൽ വെള്ളപ്പൊക്കമുണ്ടാകുമെന്നാണ് കണക്കുകൂട്ടൽ.
അതേസമയം, അറ്റ്ലാന്റിക് സമുദ്രത്തിലെ സ്ഥിതി വളരെ ശാന്തമാണ്. 25 വർ ഷങ്ങൾക്ക് ശേഷമാണ് ഓഗസ്റ്റിൽ അറ്റ്ലാന്റിക് സമുദ്രത്തിൽ കൊടുങ്കാറ്റ് ഇല്ലാതായത്. ഹിന്നനോർ ചുഴലിക്കാറ്റിന്റെ ശക്തി ദുർബലമാകാൻ സാധ്യതയുണ്ടെന്നും അധികൃതർ അറിയിച്ചു.
